위로가기 버튼
보도자료

사과 과수원, 갈색날개매미충 주의…가지 솎고 약제 뿌려줘야

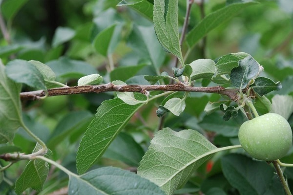
갈색날개매미충 피해 가지에 달린 사과 어린열매 /사진 제공 = 농촌진흥청 제공
갈색날개매미충 피해 가지에 달린 사과 어린열매 /사진 제공 = 농촌진흥청 제공

농촌진흥청(청장 허태웅)이 사과 과수원에서 이달 중순 이후 갈색날개매미충이 확산할 수 있어 철저한 대비를 당부했다.

갈색날개매미충은 가지에 알을 낳고 즙을 빨아 작물이 잘 자라지 못하게 하는 해충이다.

우리나라에서는 지난 2010년 8월 충남 공주 예산에서 처음 발생했고 현재는 전국 대부분 지역에서 확인되고 있다.

갈색날개매미충 어른벌레는 이달 중순부터 알을 낳기 위해 과수원으로 날아들며 특히 올해 자란 1년생 가지에 알을 낳는 습성이 있다.

현재 사과에는 36개 품목의 관련 살충제가 등록돼 있다. 과수원으로 이동하는 개체 수가 많을 때는 사과 품종별로 수확 시기를 고려해 안전사용기준에 따라 여유를 두고 방제해야 한다.

또한 갈색날개매미충이 알을 낳은 가지는 알이 부화하지 못하도록 겨울철 가지치기를 할 때 잘라줘야 한다.

특히 열매를 맺는데 필요한 가지도 겨울 방제 시기인 3월에 기계유유제를 20배액으로 뿌리거나 붓으로 발라주면 알이 부화하는 것을 95% 이상 억제할 수 있다.

농촌진흥청 국립원예특작과학원 사과연구소 이동혁 소장은 “알을 낳은 가지도 가지치기와 겨울철 기계유유제 등으로 충분히 방제할 수 있는 만큼 농가의 적극적인 관리가 필요하다”며 “가지치기 도구를 수시로 소독하는 것도 잊지 말아야 한다”고 전했다.

변한영
다른기사보기
저작권자 © 전북일보 인터넷신문 무단전재 및 재배포 금지
개의 댓글

※ 아래 경우에는 고지 없이 삭제하겠습니다.

·음란 및 청소년 유해 정보 ·개인정보 ·명예훼손 소지가 있는 댓글 ·같은(또는 일부만 다르게 쓴) 글 2회 이상의 댓글 · 차별(비하)하는 단어를 사용하거나 내용의 댓글 ·기타 관련 법률 및 법령에 어긋나는 댓글

0/ 100
최신뉴스

사람들김의신 박사 초청 전북 백년포럼…“건강은 타고나는 게 아니라 만들어지는 것”

정치일반전북도, 수소경제 판 키운다…특화단지·국가산단 동시 추진

정치일반전북 도민 삶의 질 ‘체감 개선’…행복감·생활만족도 동반 상승

문학·출판제13대 전북작가회의 회장에 정동철 시인 추대

국회·정당與 "여야 정치인 예외 없는 통일교 특검 수용"…국힘 “환영”